Midland International Air and Space Port
2006 USGS photo
Summary
Airport typePublic
OperatorCity of Midland
ServesMidland and Odessa, Texas
LocationMidland County, between Midland and Odessa, Texas, USA
Elevation AMSL2,871 ft / 875 m
Coordinates31°56′33″N 102°12′07″W / 31.94250°N 102.20194°W / 31.94250; -102.20194
Websitewww.FlyMAF.com
Map
MAF is located in Texas
MAF
MAF
MAF is located in the United States
MAF
MAF
Runways
Direction Length Surface
ft m
04/22 4,605 1,404 Asphalt
10/28 8,302 2,530 Asphalt
16L/34R 4,339 1,323 Asphalt
16R/34L 9,501 2,896 Asphalt
Statistics (2021)
Aircraft operations (year ending 7/31/2021)58,010
Based aircraft106
Sources: airport website[1] and FAA[2]

Midland International Air and Space Port (IATA: MAF, ICAO: KMAF, FAA LID: MAF) (formerly Midland International Airport) is in the city limits of Midland, Texas, United States,[3] about midway between Downtown Midland and Downtown Odessa, owned and operated by the City of Midland. In September 2014, it was licensed by the Federal Aviation Administration to serve commercial spaceflight.[4]

Overview

The airport has three airlines, two serving hubs with regional jets and one flying mainline jets. Southwest Airlines is the largest carrier at the airport. In 2012, 497,193[5] passengers were enplaned.

History

Origins

The airport started as Sloan Field, a small airport started in 1927 by Samuel Addison Sloan. Sloan leased 220 acres of flat grassland from Clarence Scharbauer, a rancher. Sam Sloan died in a plane crash in 1929,[6] and his brother, William Harvey Sloan, continued the operation. In 1939, Harvey Sloan sold the field to the City of Midland for $14,500.

As war clouds gathered over Europe in the late 1930s, Midland businessmen could foresee the possibility of a military base in West Texas and in 1940 they started promoting the airfield for use as a training base to the military establishment in Washington. The airfield was upgraded by the Works Progress Administration with runway and taxiway improvements and lighting. Brigadier General G.C. Brant, Commander of the Gulf Coast Air Corps Training Center at Randolph Field, visited and reported that the situation at Midland was favorable. On June 13, 1941, it was announced that Midland would become a training base, Midland Army Air Field.

World War II

Midland Army Air Field was home to the Army Air Forces Bombardier School, one of a dozen bombardier-training schools. It was one of the "West Texas Bombardier Quadrangle" schools of the Army Air Forces Training Command, along with Childress Army Airfield, San Angelo Army Airfield and Big Spring Army Airfield. The sole purpose of the Bombardier College was to train young men to use the Norden bombsight.

The first group of cadets, Class 42–6, arrived for training from Ellington, Texas, on February 6, 1942. Midland reached a peak base population of more than 4,000 and graduated a total of 6,627 bombardier officers by the conclusion of the training mission on January 1, 1946.

Postwar civil use

The City of Midland annexed much of the land housing the airport on April 26, 1946, while a piece that became a part of a runway was annexed on February 25, 1964.[7]

Midland-Odessa Regional Airport opened its new passenger terminal in the early 1960s. It was served by Continental Airlines and Trans-Texas Airways (and American Airlines, until 1963); the first jets were Continental Boeing 707s in 1965. The terminal had a scalloped roofline, allowing a column-free interior. All services (ticketing, baggage claim and concessions) were inside the building, and a single departure lounge opened onto the apron.

The late 1970s "oil boom" led to economic growth and more flights by incumbent airlines and new entrants like Southwest Airlines; American Airlines returned in June 1981, and America West arrived in 1987.

A new gate area was built along the apron with four second-level gates with jet bridges, concession space and escalator wells linking the addition to the existing terminal. The south end of the main terminal was extended with more ticketing space and the original terminal was modernized (the scalloped roofline was removed).

By the 1990s, several new-entrant carriers had pulled out and most of the rest had downgraded to regional jets; only Southwest, the airport's largest carrier, operated main line jets. The terminal building looked tired, and airport officials began planning a replacement. Construction began (in the infield parking lot) in 1996. The first half of the new terminal opened in early 1999 and the 1966 terminal was demolished. The second half of the new terminal was finished in late 1999. The first airplane built and flown in Texas, the "Pliska" (an approximate copy of the Wright Flyer II) was donated to the airport and is displayed in the terminal over the baggage-claim area.[8]

The Confederate Air Force (now the Commemorative Air Force) moved to Midland in 1991 and holds an annual airshow featuring its warbird aircraft at the airport.[9][10]

In 2012, the Midland City Council amended a contract allowing three teams of experts Midland International Airport, Parkhill, and Smith & Cooper to prepare and submit a commercial space launch site application. On September 17, 2014, the Federal Aviation Administration formally approved the application, making Midland International Airport the first primary commercial service airport to be certified as a spaceport.[11] The original primary purpose of the launch site was to permit XCOR Aerospace to test its reusable winged commercial space vehicle, XCOR Lynx. The company relocated its headquarters[12] to the Midland International Airport from where it had planned to offer commercial space flights.[13] The XCOR research & development facility was planned to be located at the airport as part of a $10 million economic development incentive deal. However, as XCOR has since gone out of business, Midland Development Corp. is looking for other space companies to use the facilities.[14]

Facilities and aircraft

Terminal in August 2013
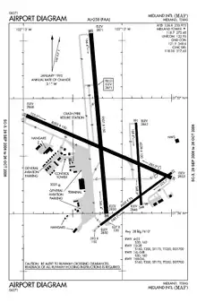
Airport map

Midland International Air and Space Port covers 1,600 acres (650 ha) at an elevation of 2,871 feet (875 m). It has four asphalt runways:[2][15]

  • 4/22: 4,605 ft × 75 ft (1,404 m × 23 m)
  • 10/28: 8,302 ft × 150 ft (2,530 m × 46 m)
  • 16L/34R: 4,339 ft × 100 ft (1,323 m × 30 m)
  • 16R/34L: 9,501 ft × 150 ft (2,896 m × 46 m)

For the 12-month period ending July 31, 2021, the airport had 58,010 aircraft operations, average 159 per day: 29% military, 39% general aviation, 10% air taxi and 22% airline. 106 aircraft were then based at the airport: 36 single-engine propeller, 37 multi-engine propeller, 30 jet and 3 helicopter.[2]

Airlines and destinations

Passenger

AirlinesDestinations
American Eagle Dallas/Fort Worth, Phoenix–Sky Harbor
Delta Connection Austin (begins April 22, 2024)[16]
Southwest Airlines Austin,[17] Dallas–Love, Houston–Hobby, Las Vegas
Seasonal: Denver[18]
United Airlines Houston–Intercontinental
United Express Denver, Houston–Intercontinental

Cargo

AirlinesDestinations
Empire AirlinesLubbock

Statistics

Top destinations

Busiest domestic routes from MAF
(August 2019 – July 2020)[19]
Rank City Passengers Carriers
1 Dallas/Fort Worth (DFW), Texas 114,170 American
2 Houston–Intercontinental, Texas 96,990 United
3 Dallas–Love, Texas 90,030 Southwest
4 Houston–Hobby, Texas 82,300 Southwest
5 Denver, Colorado 40,970 United
6 Las Vegas, Nevada 28,050 Southwest
7 Phoenix–Sky Harbor, Arizona 11,290 American

Airline market share

Airline market share
(August 2019 – July 2020)[19]
RankCarrierPassengersShare
1Southwest409,00043.85%
2Mesa253,00027.14%
3American71,1307.62%
4SkyWest68,3307.32%
5Republic61,3706.58%
Total862,830100.0%

Accidents and incidents

  • On November 26, 1983, a Texas Western Aviation Beechcraft King Air crashed on final approach to MAF after initiating a go-around. The plane pitched up in an extremely nose high attitude, entered a left bank, stalled and crashed. All eight occupants (one crew, seven passengers) were killed. The cause was undetermined.[20]

See also

References

  1. Midland International Airport, official site
  2. 1 2 3 FAA Airport Form 5010 for MAF PDF, effective September 8, 2022
  3. "Zoning Map". City of Midland. Retrieved May 12, 2019.
  4. Aviation Week & Space Technology, "Spaceflight Scheduling", September 22, 2014, p. 16
  5. "Preliminary CY 2012 Enplanements" (PDF). Archived from the original (PDF) on September 3, 2013. Retrieved August 27, 2013.
  6. "History".
  7. "Annexations". City of Midland. Retrieved May 12, 2019.
  8. "Midland International Airport". Archived from the original on January 28, 2013. Retrieved October 8, 2015. Midland International Airport website
  9. "Commemorative Air Force Moving Headquarters to Dallas". NBC. Associated Press. April 29, 2014. Retrieved September 7, 2017.
  10. Jasper, Simone (August 27, 2016). "CAF High Sky Wing hosts 26th annual Midland AirSho". mrt.com. Hearst Newspapers. Retrieved September 7, 2017.
  11. Basco, Joseph (September 17, 2014). "FAA approves spaceport license for Midland International". Midland Reporter-Telegram.
  12. "Xcor Aerospace and Midland Development Corporation Announce Establishment of Xcor's New Commercial Spaceflight R&D Center Headquarters". Archived from the original on August 18, 2013. Retrieved August 3, 2013.
  13. "Rocketship Tours". Archived from the original on July 15, 2011. Retrieved January 10, 2011.
  14. Howes, Trevor (June 4, 2016). "Despite XCOR setback, space industry in Midland continues to grow". Midland Reporter-Telegram.
  15. "MAF airport data at skyvector.com". skyvector.com. Retrieved September 17, 2022.
  16. "Delta's Texas Takeoff". Retrieved December 15, 2023.
  17. "Southwest Airlines Extends Flight Schedule Through April 24, 2022". Southwest Airlines. September 16, 2021. Retrieved September 16, 2021.
  18. "Summer travel is right around the corner!". April 30, 2021.
  19. 1 2 "Bureau of Transportation Statistics". Retrieved November 12, 2022.
  20. Accident description for N1910L at the Aviation Safety Network. Retrieved on June 14, 2021.
This article is issued from Wikipedia. The text is licensed under Creative Commons - Attribution - Sharealike. Additional terms may apply for the media files.